Tuin van Plantenliefde

Een plek waar ik bijhoud wat groeit, wat ik zie en wat zich langzaam vormt.

Jonge vrouw tuiniert in de tuin van Plantenliefde

Veldnotities

21 april 2026

Nieuw leven

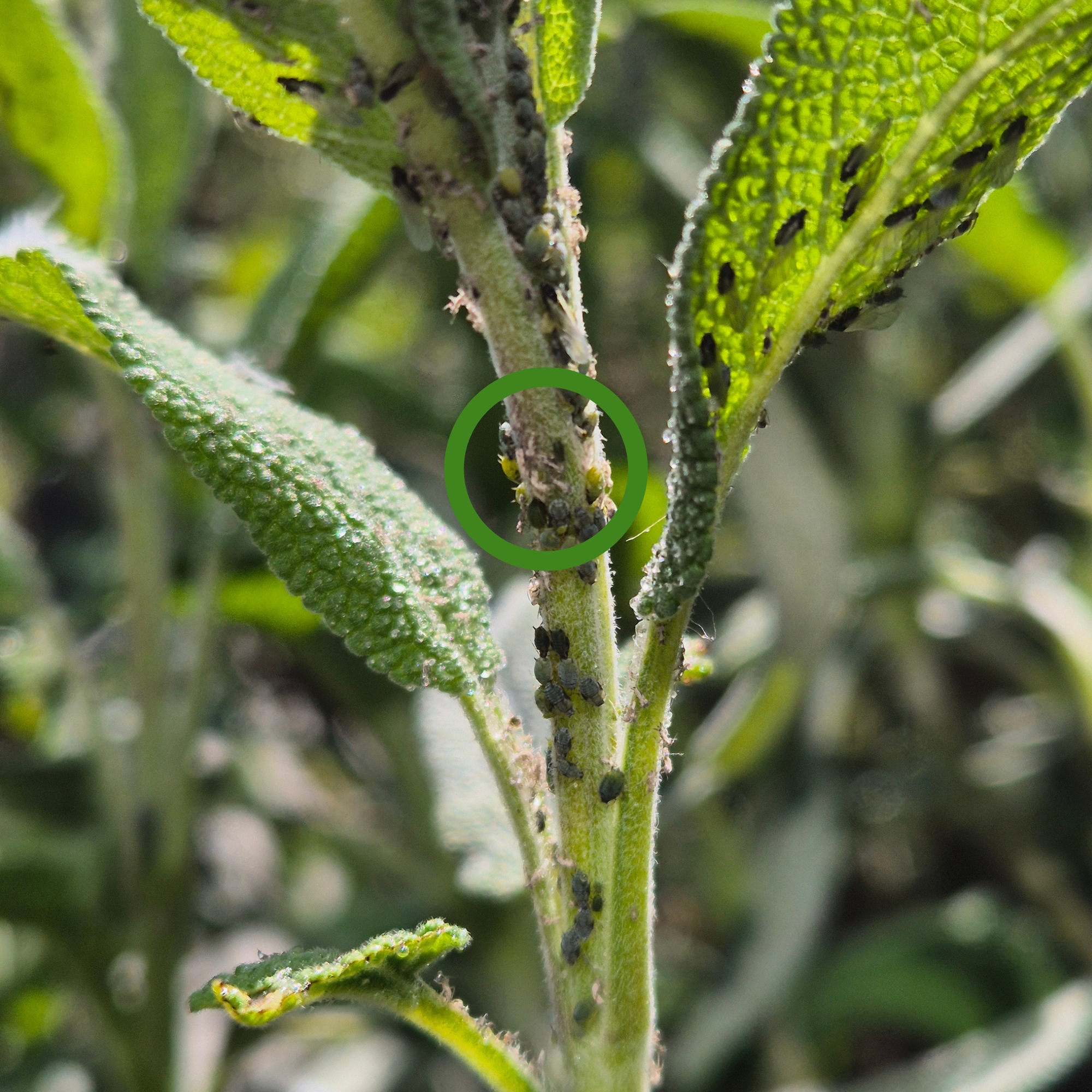
Zullen dit de eitjes zijn van de halvemaanzweefvlieg?

Halvemaanzweefvlieg zet eitjes af op Echte Salie in de Tuin van Plantenliefde

20 april 2026

Halvemaanzweefvlieg

Tijdens mijn lunch zag ik hoe een halvemaanzweefvlieg haar eitjes afzette op de echte salie (Salvia officinalis). Prachtig hoe een bladluiskolonie ander leven aantrekt en het biologische systeem vanzelf in balans wordt gebracht door de natuur.

Plantenkaarten voor de tuin van Plantenliefde op een houten tafel

14 april 2026

Plantenkaarten

Ik ben alle planten, struiken en bomen voor de tuin van Plantenliefde aan het categoriseren. Ik ben begonnen met de soorten voor de vlinder- en bijentuin.

3 april 2026

Ze is weer uitgelopen

Een koffieplant (Coffea arabica) had ik diep gesnoeid. Zo blij dat ze weer is uitgelopen. Verwondering dat een tak die zich dood waant nog zoveel leven kan bevatten. Dankbaar.

Heb je vragen?

In de rechter onderhoek zie je het symbool van de chat. Stel al je vragen in de chat. Op maandag- en dinsdagochtend ben ik online en kunnen we samen chatten. Op alle andere momenten zal ik automatisch een e-mail met je vraag ontvangen en zal ik deze z.s.m. beantwoorden.